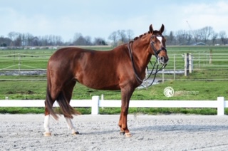
Zeer interessante Elite sport (dr) Ibop Prok merrie te koop aangeboden. Haar afstamming is Don Schufro x Jazz x Welt Hit II. De merrie is zelf ZZ Licht geklasseerd. Zij heeft een stokmaat van 1.64 m.
Fijne merrie voor de sport en zeer geschikt als leerpaard / schoolmaster!
Tevens zeer interessant om een eigen fokkerij op te zetten, gezien het Don Schufro bloed!
Prijscategorie II






